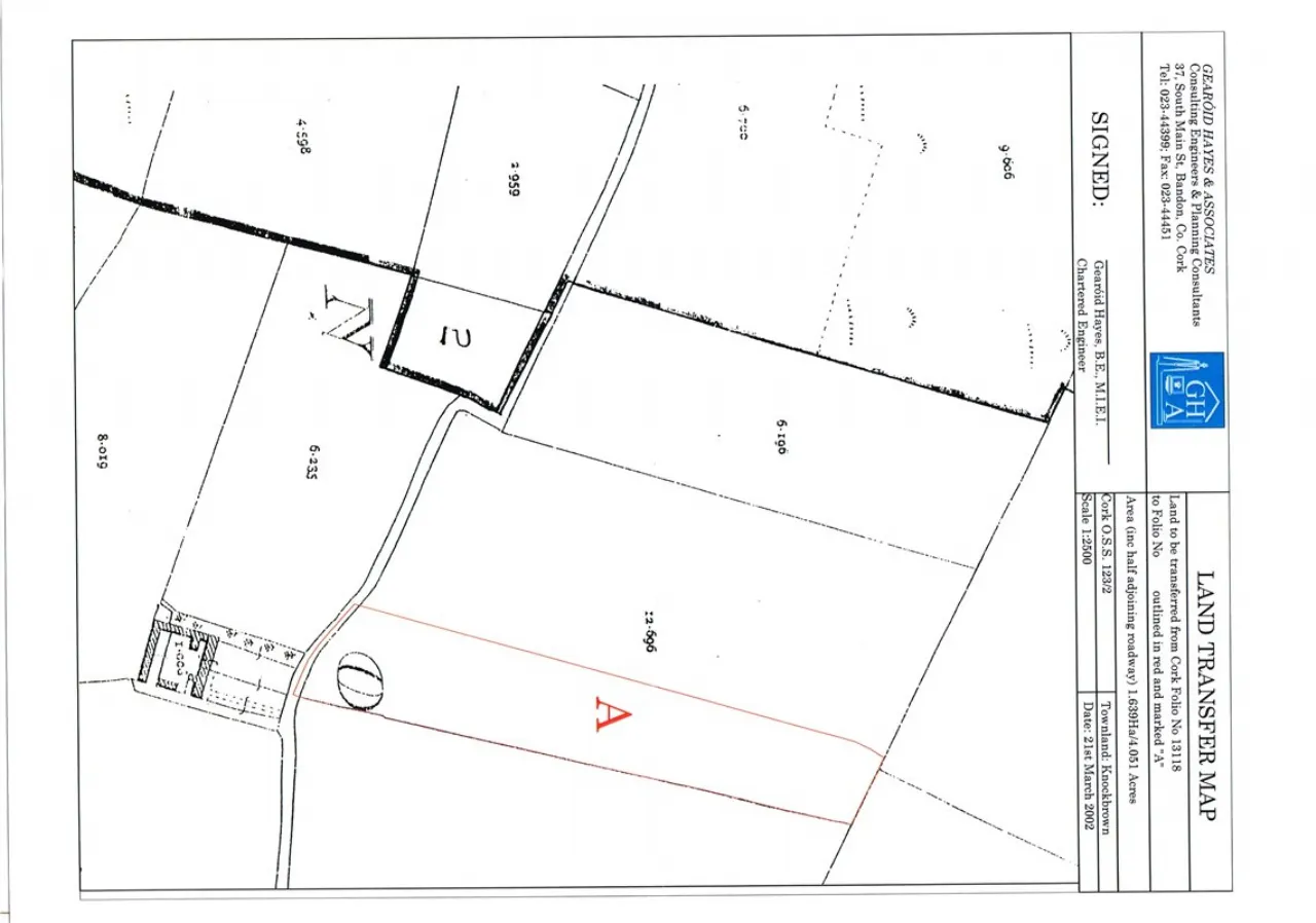
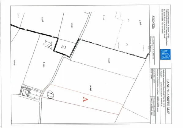
Map

Land for Sale in Bandon

Sort by:
Sort by:
Loading...